Property Detail

10000 Alberta

Hinkley CA 92347

$7,950

Status: Active

Property Details

Description

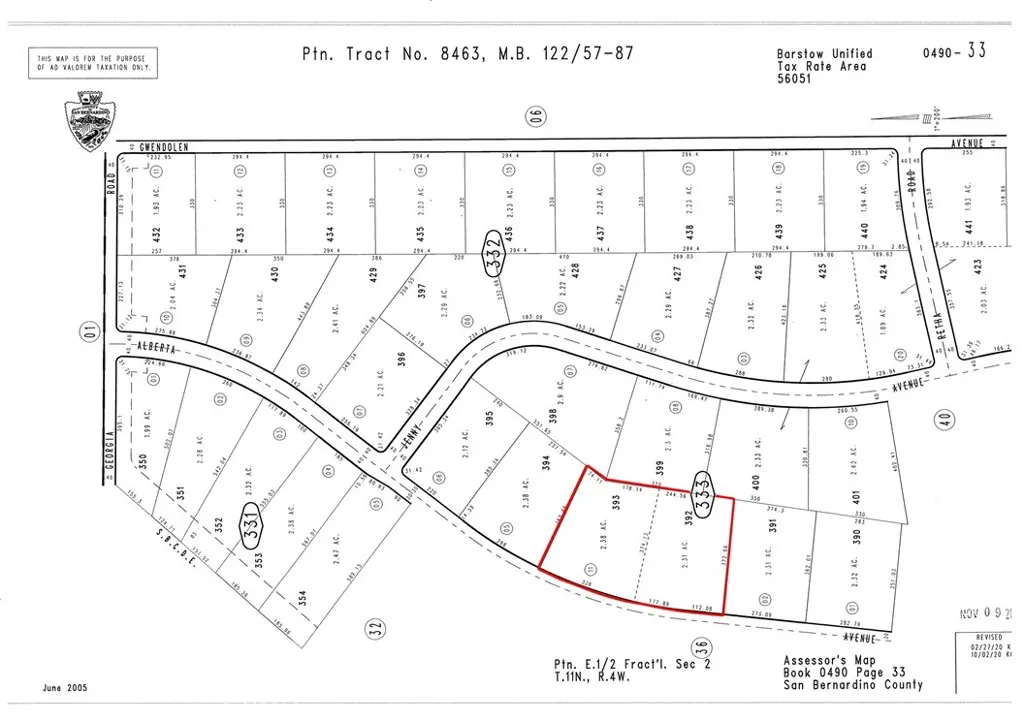
Unlock the potential of this rare double lot - Lots 392 and 393 of Tract 8463, offered under a single APN (0490-333-11-0000) for added convenience. This unique parcel is twice the size of a standard lot in the area, providing ample space for your desert getaway, off-grid homestead, or future investment. Nestled just minutes north of the Harper Dry Lake Bed, this property offers scenic desert views and easy access to outdoor recreation in the nearby Black Mountain Wilderness and Lockhart census area. Whether you're an adventurer, nature enthusiast, or savvy investor, this expansive lot is your gateway to the wide-open Mojave. Dont miss this oversized opportunity - double the space, endless possibilities.

Map Location

Listing provided courtesy of Scott Vu of Nexus Commercial. Last updated . Listing information © 2025 SANDICOR.

Get In Touch

Mark Marquez

Mark Marquez

CA DRE# 01232386

Real estate Realtors https://www.zillow.com/profile/MarkMarquezCIPS