



bedrooms
bedrooms
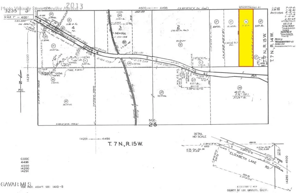
APN: 3235-005-036 Coordinates: 34.670222, -118.415000 10 Acre parcel for sale in LA County. This lot is located off of Elizabeth Lake Rd rd Near Lake Hughes. Large parcel zoned for residential use per county records. Excellent location and opportunity to build a home.
Listing provided courtesy of NYDIA DEL RIO of HOME & LAND SOURCE. Last updated . Listing information © 2025 SANDICOR.

CA DRE# 01232386
12411 Rancho Bernardo Road,San Diego, CA 92128
Get Directions
619.933.0050

COMPASS IS A REAL ESTATE BROKER LICENSED BY THE STATE OF CALIFORNIA AND ABIDES BY EQUAL HOUSING OPPORTUNITY LAWS. LICENSE NUMBER 01527365. ALL MATERIAL PRESENTED HEREIN IS INTENDED FOR INFORMATIONAL PURPOSES ONLY AND IS COMPILED FROM SOURCES DEEMED RELIABLE BUT HAS NOT BEEN VERIFIED. CHANGES IN PRICE, CONDITION, SALE OR WITHDRAWAL MAY BE MADE WITHOUT NOTICE. NO STATEMENT IS MADE AS TO ACCURACY OF ANY DESCRIPTION. ALL MEASUREMENTS AND SQUARE FOOTAGE ARE APPROXIMATE.
THIS INFORMATION IS DEEMED RELIABLE BUT NOT GUARANTEED. YOU SHOULD RELY ON THIS INFORMATION ONLY TO DECIDE WHETHER OR NOT TO FURTHER INVESTIGATE A PARTICULAR PROPERTY. BEFORE MAKING ANY OTHER DECISION, YOU SHOULD PERSONALLY INVESTIGATE THE FACTS (E.G. SQUARE FOOTAGE AND LOT SIZE) WITH THE ASSISTANCE OF AN APPROPRIATE PROFESSIONAL. YOU MAY USE THIS INFORMATION ONLY TO IDENTIFY PROPERTIES YOU MAY BE INTERESTED IN INVESTIGATING FURTHER. ALL USES EXCEPT FOR PERSONAL, NON-COMMERCIAL USE IN ACCORDANCE WITH THE FOREGOING PURPOSE ARE PROHIBITED. REDISTRIBUTION OR COPYING OF THIS INFORMATION, ANY PHOTOGRAPHS OR VIDEO TOURS IS STRICTLY PROHIBITED. THIS INFORMATION IS DERIVED FROM THE INTERNET DATA EXCHANGE (IDX) SERVICE PROVIDED BY SANDICOR®. DISPLAYED PROPERTY LISTINGS MAY BE HELD BY A BROKERAGE FIRM OTHER THAN THE BROKER AND/OR AGENT RESPONSIBLE FOR THIS DISPLAY. THE INFORMATION AND ANY PHOTOGRAPHS AND VIDEO TOURS AND THE COMPILATION FROM WHICH THEY ARE DERIVED IS PROTECTED BY COPYRIGHT.
COMPILATION © 2025 SANDICOR®, INC.
We've copied your review, after you click 'Publish' please paste your review by selecting 'ctrl' + 'v' into the review comments section.
One fine body…